Leilão Imóvel

Parceiro

Auket - Hub Imobiliário

Filtros

Localidade


Tipos de imóvel


Preço


Desconto (%)


Forma de Pagamento


Imóveis Caixa


Modalidade


Data Leilão


Data de inclusão



Entre em contato conosco!

Em breve um de nossos representantes entrará em contato com você.

Forma de Contato Preferida*

Forma de pagamento*

*Campos obrigatórios, preencha-os para enviar a mensagem

Muito obrigado pelo contato!
Você receberá um email com mais informações para entrar em contato com o Leiloeiro

Deseja mesmo excluir esta anotação ?

Uma vez excluida, não é possivel recupera-la.

R$ 50.630,20

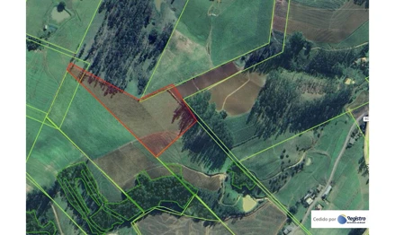
Propriedade Rural em Leilão em Taió / SC - 2768101

Rod. Luís Bertoli - Taió, SC, 89190-000


Valor do Imóvel

R$ 50.630,20

74%
Mais sobre o imóvel

À vista

1° Praça:

31/03/2026 às 17:42

R$ 195.860,11

2ª Praça

16/04/2026 às 17:42

R$ 50.630,20

Propriedade Rural em Leilão em Taió / SC - 2768101

Rod. Luís Bertoli - Taió, SC, 89190-000

Detalhes do Imóvel

Área Total:

Área Total 39,23 m²
Mais sobre o Imóvel
Localização: SC /Taió
Leiloeiro: Picelli Leilões
Código Imóvel: 2768101
Data de Inclusão: 31/03/2026
Matrícula: 19840
Comarca: Taió/SC
Ofício: 1
Descrição: Propriedade Rural com área de 39.225m² ou 3,92 Hectares no município de Taió, Santa Catarina. Imóvel está a aproximadamente 10km de distância da cidade de Taió, seguindo por aproximadamente 9km pela Estrada SC350 Luis Bertoli. Imóvel aparenta gleba sem benfeitorias. DESCRIÇÃO DA MATRÍCULA IIMÓVEL: Matrícula nº 19.840 do Oficio de Registro de Imóveis da Comarca de Taió/SC:- IDENTIFICAÇÃO DO IMÓVEL: O terreno rural, situado na linha e localidade de Ribeirão Osvaldo, neste Distrito e Município de Taió/SC, contendo a área de 39.225,00m² (trinta e nove mil, duzentos e vinte e cinco metros quadrados), e confronta na FRENTE, em 152,90 metros, com o imóvel da matrícula nº 19.777, terras de Gilmar Carneiro; FUNDOS, em três (3) linhas, uma de 4,60 metros e uma de 225,60 metros, com o imóvel da matrícula nº 17.849, terras de Sirion Pasold Deeke e em 84,00 metros, com o imóvel da matrícula nº 10.503, terras de Osnir Zils; estremando de UM LADO, lado direito, em 360,20 metros, com o imóvel da matrícula nº 10.192, terras de Ademar Westphal; e, de OUTRO LADO, lado esquerdo, em 121,30 metros, com o imóvel da matrícula nº 10.481, terras de Valdemiro Fanton. CADASTRO NO INCRA (de que faz parte) nº805.157.018.201-6 - área total em hectares: 13,9225 - módulo fiscal: 18,0000 - nº de módulos fiscais: 0,7735 - fração mínima de parcelamento: 3,00. AV.-2-19.840 CCIR, NIRF e CAR: atualizar e averbar os seguintes cadastros da matrícula: 1) CCIR - Código do Imóvel 805.157.018.201-6; em nome de Vilmar Carneiro; Nacionalidade: Brasileira; CPF/MF 552.242.459-15; Denominação do Imóvel: Matrícula 19.840; Localização: Ribeirão Osvaldo - Taió/SC; Área Total de 3,9225ha; Módulo Rural: 24,5156ha; nº de Módulos Rurais: 0,16; Módulo Fiscal: 18,0000ha; nº de Módulos Fiscais: 0,2179; Fração Mínima de Parcelamento: 3,00ha; conforme consta no CCIR nº 42429347214, quitado; 2) NIRF (Inscrição do Imóvel na Receita Federal) nº 2.646.077-7; e 3) Inscrição do Imóvel no CAR sob nº SC-4217808-21F6.5E22.AA5C.483D.AC77.5773.EEFF.B7D9, cadastrado em 13/08/2020, tudo conforme requerimento datado de 08/10/2021 e demais documentos arquivados neste Ofício. Av-8-19.840 CÓDIGO DE ENDEREÇAMENTO POSTAL - CEP: 89190-000 - Propriedade consolidada - título prenotado sob o nº 85.669 em 11 de fevereiro de 2026, e averbado em data - AV.10/19.840 em 03 de março de 2026. Processo: Requerente: Requerido(a): Comarca/Vara

Benefícios de um Imóvel Rural

Adquirir imóveis rurais oferece estabilidade financeira e diversificação de investimentos. Rentabilidade consistente, potencial de valorização e benefícios fiscais são vantagens atrativas para investidores.
local_atm
Renda Adicional

Invista em imóveis rurais para obter uma fonte de renda estável com potencial de valorização.

attach_money
Investimento

Amplie seu portfólio com imóveis rurais. Diversifique investimentos e garanta retornos consistentes.

forest
Produção Agrícola

Adquirir imóveis rurais é investir em terra e produção agrícola, participando ativamente do setor agropecuário e potencializando seus ganhos

roofing
Muitos Disponíveis

Explore imóveis rurais disponíveis. Com diversas opções, escolha propriedades conforme seu perfil e objetivos, garantindo rentabilidade e segurança.

Imóveis em leilão nas cidades vizinhas de Taió/SC: