Leilão Imóvel

Parceiro

Auket - Hub Imobiliário

Filtros

Localidade


Tipos de imóvel


Preço


Desconto (%)


Forma de Pagamento


Imóveis Caixa


Modalidade


Data Leilão


Data de inclusão



Entre em contato conosco!

Em breve um de nossos representantes entrará em contato com você.

Forma de Contato Preferida*

Forma de pagamento*

*Campos obrigatórios, preencha-os para enviar a mensagem

Muito obrigado pelo contato!
Você receberá um email com mais informações para entrar em contato com o Leiloeiro

Deseja mesmo excluir esta anotação ?

Uma vez excluida, não é possivel recupera-la.

R$ 3.123.069,99

Chácaras em Leilão em Atibaia / SP - 2668330

Rua 01, Lot. Rancho Maringá, Gleba 01, quadra D, Bairro Portão


Valor do Imóvel

R$ 3.123.069,99

Mais sobre o imóvel

À vista

1° Praça:

09/02/2026 às 16:00

R$ 3.123.069,99

Chácaras em Leilão em Atibaia / SP - 2668330

Rua 01, Lot. Rancho Maringá, Gleba 01, quadra D, Bairro Portão

Mais sobre o Imóvel
Localização: SP /Atibaia /Portão
Leiloeiro: Giordano Leilões
Código Imóvel: 2668330
Data de Inclusão: 27/01/2026
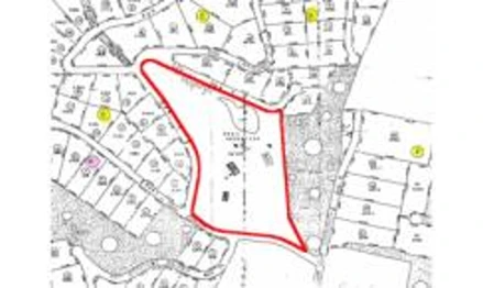
Descrição: Chácara c/ 58.255m², c/ casa sede c/ piscina, sauna, vestiário e quadra de tênis, 03 casas de empregados, Rua 01, Lot. Rancho Maringá, Gleba 01, quadra D, Bairro Portão, Cad. 19.067.002.00-0056237, CRI 31.532, Atibaia/SP. (Proc. 0602376-77.1995.8.26.0100) ( MASSA FALIDA ) (O IMÓVEL PODE SER PARCELADO COM 25% DE ENTRADA E O RESTANTE EM ATÉ 30 MESES) (Obs.: As benfeitorias encontram-se em estado de abandono, c/ a grama alta. Conforme informações uma das casas passou por incêndio, o que comprometeu a sua estrutura.) Link de Localização: https://goo.gl/maps/4Yt5hEJjb8Km4tcC7

Benefícios de um Imóvel Rural

Adquirir imóveis rurais oferece estabilidade financeira e diversificação de investimentos. Rentabilidade consistente, potencial de valorização e benefícios fiscais são vantagens atrativas para investidores.
local_atm
Renda Adicional

Invista em imóveis rurais para obter uma fonte de renda estável com potencial de valorização.

attach_money
Investimento

Amplie seu portfólio com imóveis rurais. Diversifique investimentos e garanta retornos consistentes.

forest
Produção Agrícola

Adquirir imóveis rurais é investir em terra e produção agrícola, participando ativamente do setor agropecuário e potencializando seus ganhos

roofing
Muitos Disponíveis

Explore imóveis rurais disponíveis. Com diversas opções, escolha propriedades conforme seu perfil e objetivos, garantindo rentabilidade e segurança.